Dwie działki budowlane pod dom lub bliźniaka !!!
329 000 zł Do negocjacji 134.34 zł/m2Na
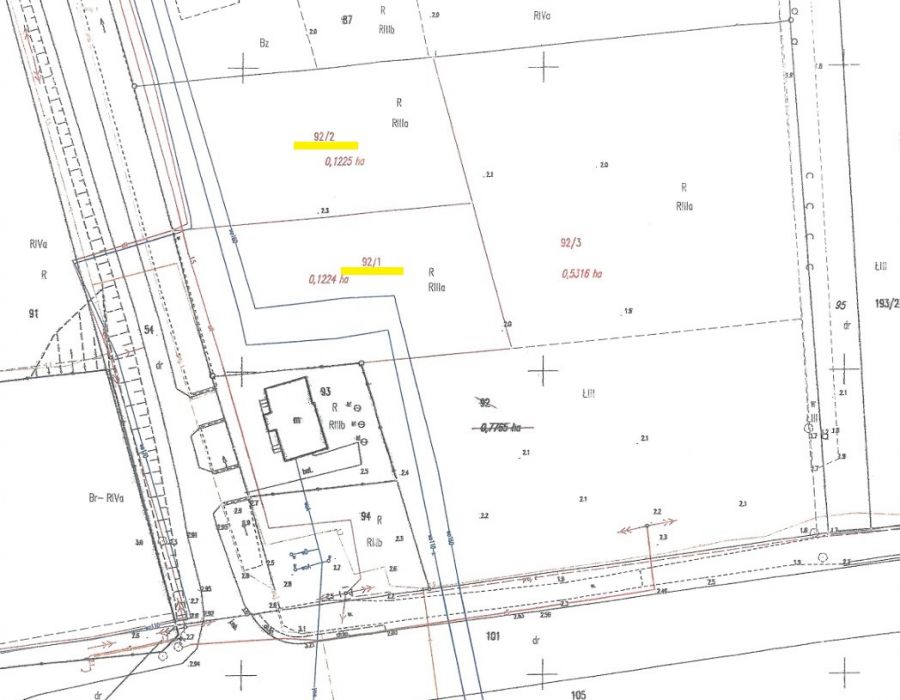
sprzedaż pakiet dwóch działek budowlanych o łącznej powierzchni 2 449 m2,
znajdujących się w miejscowości Ostrowite, gmina Suchy Dąb, powiat gdański.
Ostrowite to malownicza i bardzo spokojna miejscowość położona na obszarze
Żuław Gdańskich – nalężąca do Żuław Steblewskich.
NIERUCHOMOŚĆ:
- działki o nr ewidencyjnych: 92/1 – powierzchnia 1 224 m2
i 92/2 – powierzchnia 1 225 (razem 2 449 m2), obręb Ostrowite, gmina
Suchy Dąb;
- nieruchomości o regularnym kształcie - prostokąty o
wymiarach: około 25 m na 49 m (razem 50 m na 49 m);
- media: woda i prąd bezpośrednio
przechodzące przez obie działki – do podłączenia;
- w MPZP (uchwała nr IX/56/2003 Rady Gminy w Suchym Dębie z
dnia 12 listopada 2003 roku) działki w przedniej części oznaczone są symbolem
16.MU – zabudowa mieszkaniowo - usługowa;
- funkcje terenu:
* funkcja podstawowa – zabudowa mieszkaniowa jednorodzinna
lub zabudowa usługowa z zakresu handlu, gastronomii i rzemiosła, usług
rekreacji i wypoczynku, usług
administracji, usług kultury, usług zdrowia, oświaty i
opieki społecznej;
* funkcja dopuszczalna – urządzenia infrastruktury
technicznej oraz komunikacja drogowa
niezbędne dla funkcjonowania zabudowy, zabudowa
gospodarcza, garaże dla potrzeb
własnych;
* funkcja wykluczona – wszelka działalność powodująca
uciążliwość dla otoczenia;
* możliwe dwa typy zabudowy towarzyszącej budynkowi
głównemu: inwentarski i
pomocniczy (garaże, warsztaty, itp.);
- zasady zagospodarowania terenu:
* maksymalna powierzchnia zabudowy - 40% powierzchni każdej
z działek (obie działki około 970 m2);
* minimalny % powierzchni biologicznie - czynnej każdej
działki – 30%;
- warunki zabudowy dla budynku głównego:
* maksymalna wysokość zabudowy 9-10 m;
* dachy dwuspadowe dla głównych połaci dachu - dopuszcza
się dach naczółkowy i mansardowy, kąt nachylenia połaci dachowej od 40 do 50
stopni;
* dopuszcza się zastosowanie elementów budynku takich jak:
podcień, wystawka,
weranda, ganek;
- warunki zabudowy dla zabudowy towarzyszącej:
* maksymalna wysokość zabudowy: inwentarskiej - 11 m,
pomocniczej – 8 m;
* dachy jedno lub dwuspadowe, kąt nachylenia połaci
dachowej od 12 do 45 %.
- część tylna działek znajduje się w obszarze oznaczonym
symbolem R – funkcja podstawowa - teren upraw polowych, funkcja dopuszczalna –
zabudowa mieszkaniowa zagrodowa wraz z zabudową towarzyszącą;
- w bezpośrednim sąsiedztwie działek znajduje się plac zabaw dla dzieci, boisko i wiata grillowa;
- istnieje możliwość zakupu jednej działki z oferty - działka nr 92/1 o powierzchni 1 224 m2 lub działka nr 92/2 o powierzchni 1 225 m2 - cena 169 000 zł za każdą z działek - do negocjacji;
- możliwość dokupienia działki rolnej numer 92/3 o powierzchni 5 309 m2, która sąsiaduje od tyłu z działkami z oferty - umożliwiając tym samym dojazd z dwóch stron gminną drogą asfaltową, co przy działalności usługowej np. ośrodku nauki jazdy może być wartością dodaną. Cena działki do
uzgodnienia.
LOKALIZACJA:
- usytuowanie działek – Ostrowite, ul. Rzepakowa, gmina
Suchy Dąb, powiat gdański woj. pomorskie;
- dojazd do działek asfaltową drogą gminną;
- w najbliższej okolicy znajdziemy: Urząd Gminy, Gminny
Ośrodek Pomocy Społecznej, ośrodek zdrowia Medical, szkołę podstawową, punkt
przedszkolny, kościół, aptekę, pocztę, paczkomat, ochotniczą straż pożarną,
restaurację, bank, stację paliw, market i sklepy spożywczo – przemysłowy,
warsztaty samochodowe i lakiernie i inne punkty usługowe;
- w obrębie 50 km:
* Suchy Dąb (Urząd
Gminy) – 2,5 km;
* wjazd na Drogę
Krajową 91 – 4,3 km;
* wjazd na
Autostradę A1 i Obwodnicę Trójmiasta S6 – 12 km;
* Pruszcz Gdański
(Starostwo Powiatowe) – 11,5 km;
* Tczew – 17 km;
* wjazd na trasę S7
– 17,5 km;
* Marina Błotnik –
21,5 km;
* Wyspa
Sobieszewska (plaża i kąpielisko morskie, Rezerwat Przyrody „Ptasi Raj”,
przystań żeglarska i kajakowa, Sol Marina z apartamentami i Grano Hotelem,
przystań „Tramwaj Wodny”, deptak nad Martwą Wisłą, liczne hotele, pensjonaty i
campingi) – 24,5 km;
* Gdańsk - 26 km;
* Nowy Dwór Gdański
– 35,5 km;
* Malbork – 38 km;
* Sopot – 40 km;
* Gdynia - 50 km.
GŁÓWNE ATUTY DZIAŁKI:
- w pakiecie dwie działki budowlane o powierzchni łącznej 2
449 m2;
- regularny kształt działek – prostokąty, ukształtowanie –
płaskie;
- możliwość budowy domów wolnostojących lub bliźniaka;
- media: woda i prąd w działkach;
- dojazd do działek asfaltową drogą gminną;
- pojedyncze zabudowania i pola w sąsiedztwie;
- bardzo cicha i spokojna okolica;
- doskonałe miejsce na całoroczny lub weekendowy odpoczynek
na łonie natury;
- praktycznie na miejscu mamy Urząd Gminy, a dojazd do
Starostwa Powiatowego w Pruszczu Gdańskim zajmuje tylko 15 minut;
- niedalekie sąsiedztwo Trójmiasta i Zatoki Gdańskiej;
- okolica bogata w wiele atrakcyjnych miejsc turystycznych
i rekreacyjnych w tym między innymi przystań żeglarska - Marina Błotnik, Wyspa
Sobieszewska, Szlak Martwej Wisły, Stare Miasto Gdańsk i wiele innych bardzo
interesujących miejsc;
- doskonała komunikacja drogowa.
Działki przeznaczone dla kogoś kto szuka ciszy i spokoju z
dala od miejskiego zgiełku lub dla inwestora pod budowę bliźniaka.
Ta oferta jest godna polecenia!
Zapraszam na prezentację, aby w pełni docenić potencjał drzemiący w tej nieruchomości oraz najbliższej okolicy.
Cena: 329
000 zł
Więcej
informacji pod nr tel. 503 625 509

